Contactar por Whatsapp
realtor picture
27 propiedades
Ver teléfono

$1,130,000
...más sobre este terreno
+ Leer más
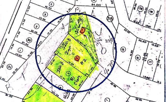
Lote Comercial -Residencial ubicado Pueblo Nuevo a pocos metros de Fernández de Córdoba y la Gran Estación de San Miguelito, la propiedad la conforman tres fincas con una superficie total de 2,788.64 metros cuadrados y aproximadamente 40 metros lineales de frente a calle interna, se distribuyen de la siguiente forma:

Lote de 852.80m2 Precio: US$ 345,384.00

Lote de 894.45 m2 Precio: US$ 362,252.25

Lote de 1,041.39 m2 Precio: US$ 421,762

En total 2,788.64 m2 Precio total de los 3 lotes: US$1,130,000.00

Los Lotes tienen zonificación: C2 Y RM1, Zona urbana, calle de asfalto, alcantarillado pluvial, alcantarillado sanitario, electricidad, acueducto, telefonía, alumbrado eléctrico, aceras, terreno plano, uso comercial y residencial.

Libre de gravámenes cuenta con la opción de vender por separados o juntos, ya que están segregados por fincas y a nombre de Sociedad Anónima.

Precio: US$405.00 por metro cuadrado

Personalidad de la zona "Pueblo Nuevo"

Haz click para ver más

Pueblo Nuevo

Qué hay cerca

Pueblo NuevoIr a dirección

Que piensan nuestros usuarios:

user profile picture

zona muy centrica

Limitado con el corregimiento de 12 de oCTUBRE Y Vista hermosa, bastante céntrica, cerca del metro osea bastante accesible.

¿Te fue útil? 6 0

Sally Alhaddad

user profile picture

centrico

Zona centrica y economica, puedes encontrar escuelas, gimnasios, super mercados, restaurantes muy cerca.

¿Te fue útil? 4 0

Brandon Ben

¿Qué opinas sobre Pueblo Nuevo?

Calificación promedio (40)

Ubicación:

Tranquilidad:

Calidad de Vida:

user profile picture

Anónimo

Usuario 

¡Califica aquí!

Ubicación:

Tranquilidad:

Calidad de Vida:

Enviar mensaje

Contacta al corredor¡Sé el primero en mudarte!

Estoy interesado Quiero invertir Quiero ofertar Listo para comprar
ó solo Hacer una OfertaHaz tu oferta basado en el precio de la propiedad